Commercial Lot for sale in Cebu City
₱ 67,904
COMMERCIAL LOT DETAILS
Category:
Lot
Sub-category:
Commercial Lot
Ad type:
For Sale
Price:
₱ 67,904
Province:
Cebu
City:
Cebu City
Barangay/Area:
Pelaez Street, Cebu City
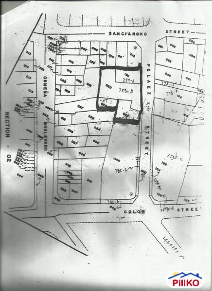
For Sale 2209 SQM Commercial Lot in Colon St. Cebu City
COLON ST. - FOR SALE 2, 209 SQM. LOT WITH BUILDINGSFOR SALE 2, 209 SQM. COMMERCIAL LOT WITH BUILDINGS
Location: Pelaez Street, Cebu City
Selling Price: P150M (negotiable)
- Buyer takes charge of all taxes & processing fees
With 4 Titles:
1st Title - 518 sq. m.
2nd Title - 1, 031 sq. m.
3rd Title - 417 sq. m.
4th Title - 243 sq. m.
Frontage: 80-90 meters
With 6 old Buildings inside the property:
- 3-storey building
- 2-storey building
- four 1-storey buildings
Fenced
Gated
This was previously a restaurant with commercial office spaces
Proximity:
- along the main highway of Pelaez-Sanciangko Streets
- near to Colon area
ADD/Message me on my personal FB > ericprondoso
For inquiries please contact: ENGR. ERlC P.
+63908-3062823 (Smart/Viber)
+63905-4891976 (Globe/WhatsApp)
Skype: dciresons
Email: ehousingloan@gmail. com
HOUSE & LOT / CONDOMINIUM FOR SALE IN CEBU PHILIPPINES
Licence No. : HLURB – CVR – 15 - 1525
PRC REG. License #: 0014187
